Overview
Description
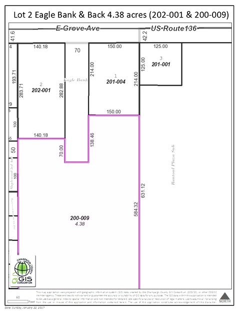
TWO PARCELS FRONT PARCEL FRONTING RT 136 IS ZONED COMMERICAL AND CONSISTS OF .912 ACRES AND IS 140 X 283 ON THE WEST SIDE OF LAND, THE SECOND PARCEL IS ZONED AGRICULTURE IS BEHIND PARCEL ONE AND CONSISTS OF 4.38 ACRES. THERE IS A 70 FT WIDE BY 352 FOOT STREET EASEMENT ADJACENT TO PARCEL ONE ON THE EAST SIDE AND IN FRONT OF PARCEL TWO THAT IS ALSO BEING FARMED BY TENANT FARMER. THEREBY THE REAR PARCEL IS NOT LAND LOCKED. PURCHASE BOTH PARCELS. TERRIFIC LOCATION FOR NEW BUSINESS. THE TWO PARCELS CONSIST OF 5.29 ACRES TOTAL
- Principal and Interest
- Property Tax
- HOA fee
- Private Mortgage Insurance






