Overview
Description
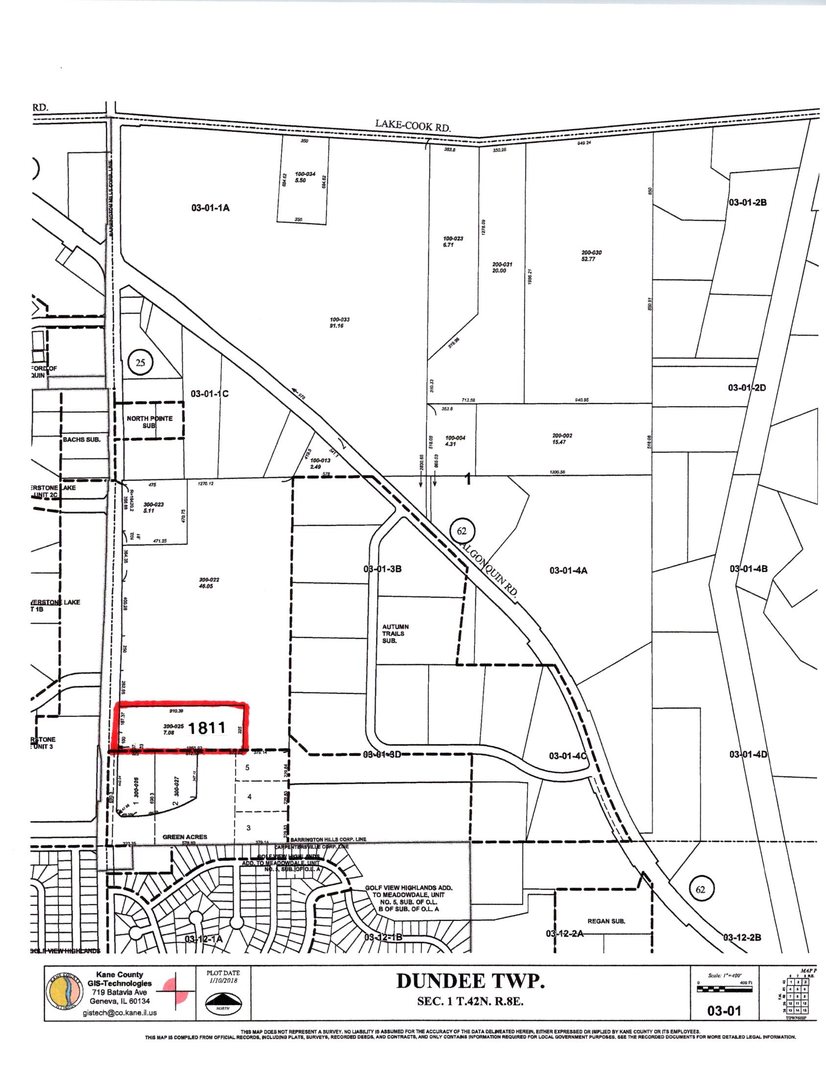
This 6.79 acre lot is located on Illinois Route 25 also known as Elgin Rd in Barrington Hills, Illinois.Its 325 foot frontage and 910.39 foot depth give it many possibilities.Located adjacent to the north of the new Longmeadow Parkway right of way.Longmeadow Parkway when completed will have great access over the Fox River and will continue west past Randall Road saving time and traffic through the town of Algonquin.The property to the north and east of this lot is now owned by The Bridge Church of Algonquin which has had a special use granted by the Village Of Barrington Hills to build a Church on their 46 acres.To the south of this property is 5.89 acres in Barrington Hills that has a B-3 Business District zoning.Currently the properties zoning is R-1 residential.Slightly wooded in front it clears out in rear for a elevation that slopes to the north and south.Topography drawing and Survey available for review.No soils analysis or soil boring tests are available. Come see the potential
- Principal and Interest
- Property Tax
- HOA fee
- Private Mortgage Insurance

































